Revista mi Barrio

Periódico barrial de Villa Real y Versalles, barrios de la Ciudad Autónoma de Buenos Aires.

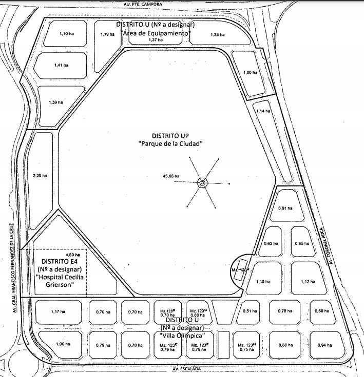
19 07 El GCBA avanza con la venta de la 1ra hectárea del Parque de la Ciudad de las 25 que venderá. 3

septiembre 24, 2021